Zum Inhalt springen
Sandweier

Baden-Baden

  • Startseite
  • Informationen
    • Öffentliche Einrichtungen
    • Ortsverwaltung
    • Geschichte
    • Bereitschaftsdienste der Ärzte
    • Deponie Tiefloch
    • Grünschnitt-Anlage
  • Essen & Trinken
  • Gewerbe
    • Alle Gewerbe
    • Handwerk
  • Vereine
    • Alle Vereine
    • Heimatverein Sandweier
  • Impressum
  • Startseite
  • Informationen
    • Öffentliche Einrichtungen
    • Ortsverwaltung
    • Geschichte
    • Bereitschaftsdienste der Ärzte
    • Deponie Tiefloch
    • Grünschnitt-Anlage
  • Essen & Trinken
  • Gewerbe
    • Alle Gewerbe
    • Handwerk
  • Vereine
    • Alle Vereine
    • Heimatverein Sandweier
  • Impressum

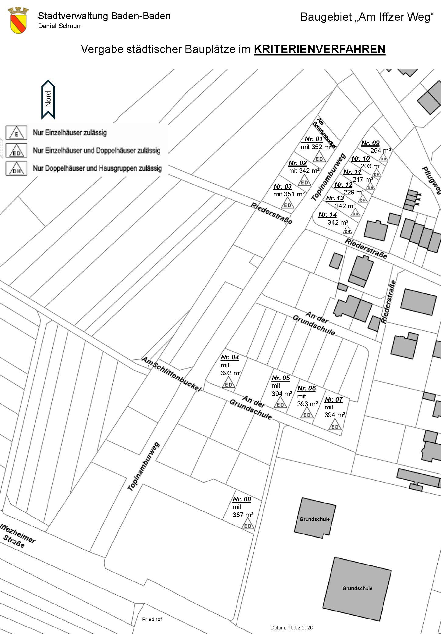
Vergabe von Bauplätzen im Kriterienverfahren in Sandweier.

Gerhard

Autorenarchiv Webseite des Autors

5. April 2026

Immobilienmarkt, Pressemeldungen, Über Sandweier

Bauplätze, Neubaugebiet, Sandweier, Sandweier 2026

Vorheriger Beitrag Nächster Beitrag

Kommentare sind geschlossen.

© 2026 Sandweier — Diese Website läuft mit WordPress

Theme erstellt von Anders Norén — Nach oben ↑